|
Boca del Río.-
Alcalde JM Unánue pavimentará la avenida Paseo Boca del Río en La Tampiquera |
| ** Con esta obra se beneficiarán directamente a casi tres mil personas de la zona y a todos los ciudadanos que transiten por esta importante vía de comunica... 2024-10-03 22:08:24 |
 |
|
Nacional.-
Juez de Quintana Roo dicta primera sentencia en caso de desaparición forzada |
| Se trata Ángel Conrado, quien habría desaparecido a la joven Francisca Mariner Flores Patrón en 2020 y cumplirá una sentencia de 25 a 50 años
2024-10-03 22:03:53 |
 |
|
Nacional.-
Asesinan a secretario general del Ayuntamiento de Chilpancingo, Guerrero; tenía 3 días en el cargo |
| Francisco Gonzalo Tapia Gutiérrez fue asesinado la tarde de este jueves. La Fiscalía de Guerrero informó que inició una carpeta de investigación por el caso... 2024-10-03 21:57:27 |
 |
|
Estatal.-
PVEM ya se afila las uñas rumbo al 2025; dice Javier Herrera que participará en los 212 municipios |
| Herrera Borunda destacó el trabajo realizado por Carlos Marcelo Ruiz al frente del Verde Ecologista en el Estado, pues ubicará a dicho partido como la segun... 2024-10-03 21:42:09 |
 |
|
Estatal.-
Jubilados y Pensionados del Issste denunciarán a Cuitláhuac con Sheinbaum por incumplimiento |
| Será este viernes 04 de octubre cuando la mandataria arribe al puerto para la celebración del Bicentenario de la Promulgación de la Constitución Federal de ... 2024-10-03 21:33:32 |
 |
|
Estatal.-
Exhibe el Inegi falta de resultados en la FGE: inició 88 mil carpetas y cerró 3 mil en 2023 |
| De este modo, con el número de carpetas de investigación, Veracruz quedó ubicado en el séptimo lugar con mayor número, sólo por debajo de Estado de México, ... 2024-10-03 21:22:35 |
 |
|
Estatal.-
Cincuenta y dos municipios del sur del estado, en alerta azul ante depresión tropical Once-E |
| El pronóstico de la Comisión Nacional del Agua (Conagua) advirtió que es probable que esta depresión se intensificara, convirtiéndose en tormenta tropical.... 2024-10-03 21:16:00 |
 |
|
Estatal.-
Anuncian presentación del programa de Pensión del Bienestar para Mujeres de 60 a 64 años |
| De acuerdo con Ariadna Montiel Reyes, secretaria de Bienestar, se presentará un programa de bienestar del cual la presidenta se ha comprometido con las muje... 2024-10-03 21:04:07 |
 |
|
Estatal.-
Sheinbaum encabezará aniversario de la Armada de México en su primera visita oficial a Veracruz: Nahle |
| 2024-10-03 21:03:10 |
 |
|
Estatal.-
Escuelas de Tuxpan resguardaron a sus alumnos sin salir a casa, pero Gobernador dice que población no resultó afectada |
| “Fue entre dos grupos y ya tenemos algunos resultados, (…) se trató de un enfrentamiento entre dos células de dos grupos delictivos, una fue hasta donde est... 2024-10-03 21:01:52 |
 |
|
Estatal.-
En México impera el neoliberalismo, la economía está estancada y la riqueza se concentra: Aquiles Córdova |
|
* Sin crecimiento económico y una reforma fiscal progresiva, fallarán los planes de gasto e inversión de Claudia Sheinbaum
* AMLO concentró el poder e... 2024-10-03 20:55:20 |
 |
|
Nacional.-
Tribunal Electoral avala reforma estatutaria y reelección de 'Alito' en el PRI |
| La mayoría de los magistrados optaron por dejar a los militantes inconformes sin derecho de que sus impugnaciones fueran valoradas y avalaron exprés reforma... 2024-10-03 19:58:41 |
 |
|
Sociedad.-
Estafas laborales por WhatsApp, ojo así puedes evitar ser una víctima más |
| Si te llega una oferta laboral que resulta muy atractiva ten cuidado pues podría ser una trampa de ladrones cibernéticos para obtener tus datos personales y... 2024-10-03 19:38:26 |
 |
|
Policiaca.-
Enfrentamiento entre civiles armados y policías deja cuatro muertos en Tamaulipas |
| Cuatro sicarios muertos y tres detenidos, además del aseguramiento de una camioneta con blindaje artesanal, dejó como resultado un enfrentamiento entre civi... 2024-10-03 19:37:07 |
 |
|
Nacional.-
El AIFA, entre los Aeropuertos más Hermosos del Mundo en el Prix Versailles 2024 |
| El Prix Versailles enfatiza la importancia de los aeropuertos como puntos clave de bienvenida para los viajeros, destacando el papel cultural y de sostenibi... 2024-10-03 19:35:45 |
 |
|
Nacional.-
México, país 'muy atractivo' para ciberdelincuentes: Enrique Zárate |
| Indicó que entre el malware (virus) más distribuido en el país, "se encuentran el Ransomware (virus malicioso que impide la utilización de los equipos o sis... 2024-10-03 19:34:01 |
 |
|
Efemerides.-
4 de octubre |
| 1824: Se promulga la primera Constitución Federal de la República. 2024-10-03 19:29:43 |
 |
|
Nacional.-
Jornada laboral de 40 horas: Ricardo Monreal se corrige, 'dictamen sigue vivo y podría ser regalo navideño' |
| Tras decir que la jornada laboral de 40 horas fue rechazada, Ricardo Monreal corrigió al afirmar que el “dictamen sigue vivo y podría ser regalo navideño”
... 2024-10-03 19:27:53 |
 |
|
Mundo.-
Reportan cerca de 100 decesos en Gaza en el último día |
| El balance acumulado aumentó a 41 mil 788 muertos y 96 mil 794 heridos desde el 7 de octubre pasado.
2024-10-03 19:25:55 |
 |
|
Mundo.-
Israel anuncia que mató hace 3 meses a altos mandos de Hamas en Gaza |
| El ejército dijo que en el ataque murieron Rawhi Mushtaha, jefe del gobierno de Hamas para Gaza, Sameh al Siraj, responsable de seguridad en la oficina polí... 2024-10-03 19:25:00 |
 |
|
Nacional.-
Convoca CIDH a Jufed a audiencia para analizar reforma judicial |
| "Me complace informarle que la CIDH ha decidido convocar a una audiencia el día 12 de noviembre de 2024 a las 2 pm (horario de Washington, DC). La misma se ... 2024-10-03 19:22:49 |
 |
|
Nacional.-
Ataque contra migrantes, por militarización de política migratoria: CEM |
| Igualmente asegurar el cumplimiento de medidas preventivas en el uso de la fuerza, así como realizar una investigación seria, imparcial y efectiva sobre lo ... 2024-10-03 19:21:45 |
 |
|
Sociedad.-
Siguen niñas y adolescentes enfrentando contextos de violencia: ONG |
| Ante ello, indicó que la llegada de la primera mujer a la Presidencia, con la mandataria Claudia Sheinbaum Pardo, “es un momento esperanzador para asegurar ... 2024-10-03 19:20:29 |
 |
|
Nacional.-
Dan de alta a cuatro migrantes heridos tras disparos de Ejército en Chiapas |
| Se trata de tres hombres de Nepal y uno de Egipto que fueron trasladados del Hospital General de Huixtla a una estación del Instituto Nacional de Migración,... 2024-10-03 19:19:34 |
 |
|
Estatal.-
Denuncian a Pemex por derrame de hidrocarburos que afecta comunidad indígena en Veracruz |
| Diversas asociaciones denuncian a Pemex por un derrame de hidrocarburos que afecta desde hace 42 días a la comunidad indígena Ojital Viejo, en el municipio ... 2024-10-03 19:16:58 |
 |
|
Estatal.-
Veracruz, al borde de la ingobernabilidad; balaceras y enfrentamientos en Tuxpan |
| Varias balaceras y enfrentamientos en Tuxpan tienen atemorizados a los habitantes del municipio, al norte de la entidad
2024-10-03 19:15:37 |
 |
|
Mundo.-
Israel no para de bombardear Palestina y Líbano; más de 60 muertos en horas |
| El Ministerio de Salud de Líbano dijo el viernes que 37 personas murieron en la víspera por la campaña de intensos bombardeos israelíes.
2024-10-03 19:14:34 |
 |
|
Nacional.-
'Explota' Noroña contra la Corte, 'son unos facciosos', acusa |
| Fernández Noroña dijo que la Corte demostró su carácter faccioso, al plantear que está por encima del Poder Legislativo, al aprobar la revisión de la reform... 2024-10-03 19:13:08 |
 |
|
Policiaca.-
Sujeto apuñala a mujer en pleno centro de San Agustín Tlaxiaca, en Hidalgo |
| Un sujeto asesinó a puñaladas a una mujer en pleno centro del municipio de San Agustín Tlaxiaca, en el estado de Hidalgo, en inmediaciones de la sede del ay... 2024-10-03 19:11:28 |
 |
|
Nacional.-
Robo de identidad, pacto entre abuelos y negligencia médica: las claves del presunto robo de una bebé en Puebla |
| Autoridades locales se encuentran investigando el actuar de la clínica al entregar a la menor mientras la madre se encontraba todavía internada, las primera... 2024-10-03 19:08:44 |
 |
|
Policiaca.-
Camila desapareció en las calles de Monterrey; fue localizada inconsciente en un campo de fútbol y perdió la vida |
| Según los primeros reportes, la menor de 13 años de edad fue localizada junto con otro adolescente sin signos vitales en un campo localizado en la colonia N... 2024-10-03 19:07:28 |
 |
|
Mundo.-
Jathan, de seis años, fue golpeado por su padrastro con un bate de béisbol: murió una semana después |
| Abdulrahim Sulaiman, de 38 años, habría agredido por celos a su esposa y sus dos hijos; enfrenta también cargos por abofetear y escupir a alguaciles de la c... 2024-10-03 19:06:12 |
 |
|
Nacional.-
Lluvias lanzan a cocodrilos a patios en Tonalá |
| Como si fuera una película de ciencia ficción la presencia de los reptiles es cada vez más constante
2024-10-03 19:04:52 |
 |
|
Nacional.-
Giran orden de aprehensión a menor de edad responsable del atentado contra el magistrado Edgar Danés Rojas |
| El funcionario fue atacado con un arma de fuego, quien recibió al menos cinco disparos cuando salía de su domicilio en Ciudad Victoria
2024-10-03 19:01:01 |
 |
|
Nacional.-
Ante las Fuerzas Armadas, Sheinbaum dice que no hay violación a los derechos humanos; Sedena no hizo referencia a Chiapas |
| Durante su discurso en la salutación a las Fuerzas Armadas, la presidenta Claudia Sheinbaum reafirmó que el mando del Ejército lo tiene una civil y reiteró ... 2024-10-03 18:51:12 |
 |
|
Nacional.-
Suprema Corte aprueba analizar la reforma judicial; rechazarla sería golpe de Estado: Batres |
| Con 8 votos a favor y 3 en contra la Suprema Corte resolvió que sí podrá analizar la constitucionalidad de la reforma judicial.
2024-10-03 18:49:36 |
 |
|
Nacional.-
Migrantes en Chiapas: Episcopado Mexicano y PAN condenan asesinato a manos de militares |
| Tanto el PAN como la Conferencia del Episcopado Mexicano condenaron la muerte de los migrantes en Chiapas por el uso excesivo de fuerza por parte de militar... 2024-10-03 16:54:50 |
 |
|
Nacional.-
¿Qué pasa en Culiacán hoy 3 de octubre? Colocan mantas con mensajes a Claudia Sheinbaum firmadas por La Chapiza; reportan 6 homicidios y varios desaparecidos |
| Culiacán, Sinaloa sigue siendo escenario de violencia; en ese marco, fueron colocadas mantas con mensajes dirigidos a Claudia Sheinbaum y se reportaron 6 ho... 2024-10-03 16:53:20 |
 |
|
Nacional.-
Alcanzar la soberanía alimentaria, meta de Sader |
| De esta forma, “se pone en marcha una de las más grandes prioridades para el gobierno de la presidenta Claudia Sheinbaum: erradicar la pobreza extrema en el... 2024-10-03 16:47:58 |
 |
|
Deportes.-
Piojo Alvarado acepta haber lanzado petardo a sala de prensa de Chivas |
| El delantero del Guadalajara indicó que todo se trató de una broma entre jugadores y no tenía la intención de agredir a los medios. De acuerdo con el portal... 2024-10-03 16:46:35 |
 |
|
Nacional.-
Corte revisará la reforma judicial |
| Con una mayoría de 8 votos, el Pleno de la SCJN resolvió que tiene la facultad de revisar y, en su caso, revertir, matizar o detener la reforma judicial apr... 2024-10-03 16:44:36 |
 |
|
Sociedad.-
Perros entienden mejor si sus amos les hablan despacio |
| Un estudio publicado en la revista 'PLOS Biology' destaca que hablarle despacio a los perros ayuda a que las mascotas comprendan mejor las órdenes
2024-10-03 16:43:30 |
 |
|
Perote.-
Perote: Actualización sobre el Servicio de Recolección de Basura |
| Agradecemos nuevamente su comprensión y colaboración ante esta situación. 2024-10-03 16:39:44 |
 |
|
Nacional.-
Buscan a 4 personas de la comunidad wixaritari que están desaparecidos |
| Los cuatro jóvenes están desaparecido desde el pasado 30 de septiembre en Rancho las Cabezas en el municipio de Mezquitic, Jalisco
2024-10-03 16:38:13 |
 |
|
Nacional.-
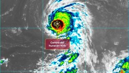
Huracán Kirk cobra fuerza y se intensifica a categoría 4: ¿cómo afectará a México? |
| Los informes oficiales indican que esta tarde el centro del ciclón tropical Kirk se localiza a 4,160 kilómetros al este-noreste de Cancún, Quintana Roo
2024-10-03 16:36:56 |
 |
|
Xalapa.-
Refrenda Ricardo Ahued compromiso con la niñez y adolescencia de Xalapa |
| *Se presentó en Sesión del Sipinna Informe de Actividades 2024-10-03 16:00:09 |
 |
|
Sociedad.-
Registro Pensión Bienestar para Mujeres de 60 a 64 años: ¿Cómo y cuándo registrarse? |
| Ariadna Montiel, titular de la Secretaría de Bienestar, resaltó en la “Mañanera del Pueblo”, que este programa tiene la finalidad de reconocer toda una vida... 2024-10-03 15:58:11 |
 |
|
Nacional.-
Reclama oposición en Senado por migrantes muertos en Chiapas a manos de militares; Noroña frena debate |
| El presidente del Senado, Gerardo Fernández Noroña rechazó abrir un debate sobre la muerte de 6 migrantes en Chiapas y solo concedió guardar un minuto de s... 2024-10-03 15:55:57 |
 |
|
Nacional.-
Diputado español llama “ignorante” a Sheinbaum y ella revira: “Vamos a enviarles la grandeza de la cultura maya y mexica” |
| El legislador español refirió que a su juicio, España “puede sentirse orgullosa” por haber contribuido “de una manera decisiva y determinante a la evangeliz... 2024-10-03 15:53:25 |
 |
|
Nacional.-
Trabajadores del PJ celebran fallo de SCJN para analizar validez de reforma |
| De siete consultas formuladas por magistrados y jueces federales que se plantearon para abrir la puerta a la posibilidad de echar abajo la reforma judicial,... 2024-10-03 15:47:00 |
 |
|
Nacional.-
Manifiesta Ken Salazar “gran compromiso” en relación con México |
| El embajador estadunidense en México, Ken Salazar, hizo pública una declaración en la que se sumó a la posición del presidente Joe Biden, la primera dama Ji... 2024-10-03 15:45:43 |
 |
|
Nacional.-
Inédito: SCJN someterá a revisión reforma constitucional al PJ |
| El asunto provocó en la sesión un encontronazo de posturas, pues mientras la mayoría a favor argumentó que la Corte aún no está tomando una decisión “de fon... 2024-10-03 15:43:01 |
 |
|
Nacional.-
Interrogados por MP federal militares que abatieron migrantes en Chiapas: FGR |
| Asimismo, indicó que los elementos de Secretaría de la Defensa Nacional (Sedena), serán interrogados por el Ministerio Público de la Federación en el curso ... 2024-10-03 15:28:01 |
 |
|
Nacional.-
Confía Canaco CDMX que nuevo gobierno fomente inversiones con certeza jurídica |
| Confió en un parlamento abierto para la elaboración de las leyes secundarias de la Reforma Judicial. 2024-10-03 15:25:59 |
 |
|
Nacional.-
Perfila Janine Otálora invalidar relección de ‘Alito’ en PRI |
| El proyecto de la magistrada le dio la razón al Instituto Nacional Electoral (INE) de que las modificaciones violaron el artículo 34 de la Ley General de Pa... 2024-10-03 15:22:48 |
 |
|
Deportes.-
Reportan explosivo en sala de prensa de Chivas |
| 2024-10-03 15:21:38 |
 |
|
Nacional.-
Sedena y Semar, motivadas con la guía de una comandanta suprema |
| Por su parte, el secretario de Marina, almirante Raymundo Pedro Morales, le resaltó que como la primera mujer presidenta “toma usted el timón de nuestro buq... 2024-10-03 15:18:56 |
 |
|
Nacional.-
Mi gobierno será de ❝hazañas pacíficas❞ del pueblo y sus fuerzas armadas: Sheinbaum |
| Juntas y juntos, dijo haremos “cosas extraordinarias, porque estamos viviendo tiempos virtuosos con Fuerzas Armadas humanistas, visionarias y ejemplares”. ... 2024-10-03 15:17:18 |
 |
|
Nacional.-
Indigna al Consejo Ciudadano del INM ataque letal contra migrantes |
| Al respecto, indicó que “hacemos eco de las exigencias de la sociedad civil, para implementar normas acordes con las obligaciones de derechos humanos, ademá... 2024-10-03 15:14:18 |
 |
|
Nacional.-
Fuerzas Armadas rinden honores plenos a Sheinbaum como Comandanta Suprema |
| “Damos la bienvenida a esta ceremonia a la Presidenta Constitucional de los Estados Unidos Mexicanos y comandante suprema de las Fuerzas Armadas”, se escuch... 2024-10-03 15:10:21 |
 |
|
Boca del Río.-
El Plan de Obras 2024 sigue en ejecución en la mejor ciudad de Veracruz. |
| 2024-10-03 14:24:12 |
 |
|
Nacional.-
Presenta De la Fuente a su equipo en Cancillería |
| Esta mañana, en su primer mensaje a la comunidad de la cancillería y a miembros del Servicio Exterior Mexicano (SEM), el funcionario informó la ratificación... 2024-10-03 13:58:11 |
 |
|
Cultura.-
Fallece la artista plástica María Lagunes |
| Tras conocerse la noticia de su pérdida, la Secretaría de Cultura informó que este viernes 4 de octubre, a las 17 horas se llevará a cabo una ceremonia para... 2024-10-03 13:44:00 |
 |
|
Nacional.-
Asesinato de migrantes en Chiapas, resultado de política persecutoria: colectivo |
| Además, abundó en un comunicado, los hechos “evidencian la omisión del Estado para garantizar los derechos humanos y la vida de las personas migrantes y con... 2024-10-03 13:20:58 |
 |
|
Nacional.-
Inicia en SCJN discusión de consultas a trámite en contra de reforma judicial |
| El alto tribunal discute el proyecto del ministro Juan Luis González Alcántara Carrancá, el cual propone al Pleno abrir una controversia de las previstas en... 2024-10-03 13:19:05 |
 |
|
Nacional.-
La Constitución ❝no es impugnable❞: ministras Esquivel y Batres |
| Lo anterior, luego de que al igual que el ministro Juan Luis González Alcántara, presentaron cada uno sus proyectos respecto las consultas a trámite que pre... 2024-10-03 13:16:28 |
 |
|
Nacional.-
Se compromete Bárcena a impulsar energías renovables |
| En un comunicado, la dependencia destacó que la funcionaria también “trabajará en la limpieza y saneamiento de los tres ríos más contaminados del país: ... 2024-10-03 11:43:34 |
 |
|
Nacional.-
Incertidumbre y compañerismo entre damnificados del huracán ‘Helene’ en EU |
| “Lo único que puedo decir es que estoy viva. No me va muy bien, no me va muy bien, pero estoy muy agradecida de estar viva, especialmente cuando hay tantas ... 2024-10-03 11:16:45 |
 |
|
Nacional.-
Sheinbaum buscará consensos para concretar jornada laboral de 40 horas |
| En su conferencia de prensa en Palacio Nacional destacó que los avances laborales alcanzados por el gobierno del expresidente Andrés Manuel López Obrador, f... 2024-10-03 11:14:15 |
 |
|
Nacional.-
Disculpa pública por el 68 ❝abona al resarcimiento del derecho a la verdad❞: CNDH |
| En un pronunciamiento, esta mañana al celebrar las acciones de gobierno, expuso que durante aquellos años, los estudiantes y luchadores sociales fueron “inj... 2024-10-03 10:28:00 |
 |
|
Nacional.-
Iniciativa de no relección sólo incluye al Ejecutivo y Legislativo: Sheinbaum |
| Cuestionada sobre el tema en su rueda de prensa matutina en Palacio Nacional, la jefa del Ejecutivo señaló que dado que recientemente se aprobó una reforma ... 2024-10-03 10:25:38 |
 |
|
Mundo.-
“No hay que juzgar” el pasado “con ojos del presente”: España a Sheinbaum |
| Y la postura del Ejecutivo ibérico, presidido por el socialista Pedro Sánchez, “ya es conocida”, según afirmó el líder español y que confirmó que se mantien... 2024-10-03 09:49:54 |
 |
|
Nacional.-
Insistiré en que España ofrezca disculpa pública a pueblos originarios: Sheinbaum |
| Sheinbaum Pardo dijo que entre algunos españoles y mexicanos existe “esta visión de que no tiene que pedir perdón”, pues afirman que los colonizadores vinie... 2024-10-03 09:45:16 |
 |
|
Nacional.-
Reforma judicial ya es constitucional, no hay sustento para intentar eliminarla: Sheinbaum |
| Debido a que la reforma ya es constitucional, indicó, los integrantes del Poder Judicial serán electos en una primera parte el próximo año. “Eso es algo que... 2024-10-03 09:43:10 |
 |
|
Nacional.-
Marchan miles al Zócalo para recordar los 56 años de la represión a estudiantes |
| Arropados por miles de estudiantes universitarios, normalistas rurales, integrantes de comunidades indígenas y organizaciones sindicales y populares, los mi... 2024-10-03 09:25:34 |
 |
|
Nacional.-
❝No pueden repetirse❞ agresiones contra indocumentados por parte del Ejército: Sheinbaum |
| Lamentó el asesinato de los migrantes por parte, presuntamente de efectivos del Ejército mexicano, y subrayó que los hechos ya son investigados.
2024-10-03 09:23:40 |
 |
|
Nacional.-
Presenta Sheinbaum iniciativa de reformas en apoyo y protección a mujeres |
| La presidenta Claudia Sheinbaum Pardo indicó que se enviarán estas propuestas al Senado de la República, que será la cámara de origen, a fin que el Congreso... 2024-10-03 09:20:16 |
 |